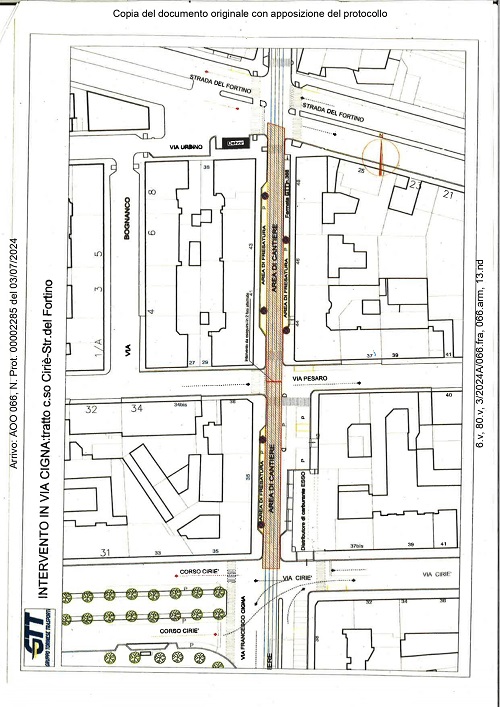
Per consentire l'avanzamento del cantiere per i lavori di rifacimento della pavimentazione della sede tranviaria,
in via Cigna tra corso Cirič e Strada del Fortino, dall'08 al 25 luglio 2024 dalle ore 00:00 alle 24:00, si
rendono necessarie le seguenti modifiche viabili:
- istituzione del divieto di fermata sul lato ovest e sul lato est;
- istituzione del divieto di transito veicolare, eccetto residenti, rifornimenti attivitā commerciali e mezzi di cantiere
nei tratti compresi tra corso Cirič e via Pesaro e tra via Pesaro e Strada del Fortino.
Gli attraversamenti di corso Cirič, di via Pesaro e di Strada del Fortino saranno garantiti.

Ultimo aggiornamento: 18/12/2024